校区自治協議会
2009(平成21)年度 活動報告
平成22年1月  新年のご挨拶
 新年あけまして、おめでとうございます。一言ご挨拶申し上げます。
 皆様におかれましては、平成22年の新春を希望も新たにスタートされたことと思います。
 昨年は、8月に田迎小学校分離新設校の通学区域(校区)と新設校の基本計画の概要が熊本市教育
委員会から公表されました。
 設計コンセプトでは、学習環境への配慮や自然環境への配慮がなされ、素晴らしい学校ができるよう
です。これに伴い造成工事が平成21・22年度にかけて行われますが、昨年末(12月21日)から
準備作業が始まり、年明けて本格的に作業が進められています。(写真参照)

これまでに至ったことも一重に、関係各位のご尽力であり、このうえない喜びであります。この喜びを
皆様と共に分かち合いたいと思います。一方、「まちづくり」については、皆様方のご協力により楽しく
「明るいまちづくり」の活動が一歩進んで出来たことは、これまた嬉しいことです。
 本年は、2012年(平成24年)の政令都市移行にむけて、「区割り・区役所の位置」等が行政区
画等審議会
で審議されています。校区としましても関心事でありますが2月2日に幸田市民センター
において住民説明会が予定されています。
 校区としましては、最大の関心ごとは「災害時の自主防災における高齢者に向けた取り組み」と
「新設校」
のことだと思います。新設校については、今後児童の「安全な通学路の確保」等について
田迎小学校分離新設校「期成会」を中心に、熊本市教育委員会と地域住民の皆様と協力しながら、
検討を進めていく必要があります。よろしくお願いいたします。 おわりに、皆様方のご健勝をご祈念
申し上げ、私の挨拶と致します。   
                         田迎校区自治協議会会長   西田 耕造 
 田迎校区自治協議会会長・西田耕造     造成工事1  造成工事2  造成工事3



平成22年11月22日  パソコン講習会



平成21年8月  (仮称)田迎小学校分離新設校の基本計画について 
 熊本市教育委員会では田迎小学校の過大規模解消のために分離新設校の計画を進めております。
 分離新設校の基本計画が平成21年8月に施設課から提示されましたので、お知らせします。

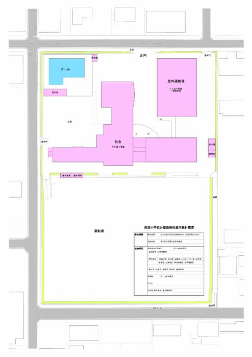
【基本設計概要】
(1)敷地概要 22,000㎡ (南北約180m、東西約120m)
用途地域 第二種中高層住居専用地域
(2)建物概要

RC造4階建 床面積5,600㎡程度
普通教室・・・22教室程度
特別教室・・・家庭科室、理科室、図書室、図工室、音楽室、生活科室、
        コンピューター室、特別活動室、教育相談室
        職員室、校長室、保健室、事務室、会議室   他
体育館・・・・約1,100㎡程度
プール
その他(体育倉庫、屋外便所等)
           
【設計コンセプト】
シンプル ・正門から玄関までなどを分かりやすい動線の整備。
・建物の形をなるべくシンプルにすることで使いやすさ分かりやすさを
 重視。
・将来的な建物の維持管理面も考慮したレイアウトやメンテナンスしや
 すい 材料等の使用。 
環境 ・学習環境への配慮
各教室を一列に並べた片廊下型の配置と、し風の通り抜けや自然光を
各教室に取り入られるよう配慮した。
・自然環境への配慮            
太陽光発電や雨水の再利用などを取り入れることにより、省エネルギー
を実現し、自然環境に配慮するとともに、学校教育面でも環境に対する
学習に役立てることができる。
交流 ・建物中央に多目的スペースを配置することにより、複数のクラスでの
共同作業や他の学年との交流ができる等、さまざまな用途での対応が
可能であり生徒1人ひとりの協調性や人を思いやる気持ちなど交流を
通して育てる事ができる。


【(仮称)田迎小学校分離新設校配置図(素案)】
                 < 北  >
  
 

                   
【新設校の通学区域について】     
 熊本市教育委員会では、田迎小学校の過大規模化の解消のため、分離新設校の設置計画を
進めておりますが、新設校の通学区域(校区)について平成21年8月に学務課から校区の
皆様に公表されましたので、お知らせします。(自治協議会)

 1.新設校の位置   熊本市馬渡2丁目70番(予定)       
 2.該当学年     全学年
        
 3.通学区域
       

(1)新設校の通学区域の町名

    町    名

     区               域

馬渡1丁目

 全域

馬渡2丁目

 全域

田迎1丁目

 全域

田迎2丁目

 全域

田迎3丁目

 全域

田迎4丁目

 全域

田迎5丁目

 全域

田迎6丁目

 全域

出仲間1丁目

 1番、2番38号~53号、3番~9番

出仲間3丁目

 3番~6番

出仲間4丁目

 17番~24番

八王寺町

 22番

流通団地1丁目

 1番地~50番地

出水7丁目

 24番


(2)田迎小学校分離新設校校区割地図